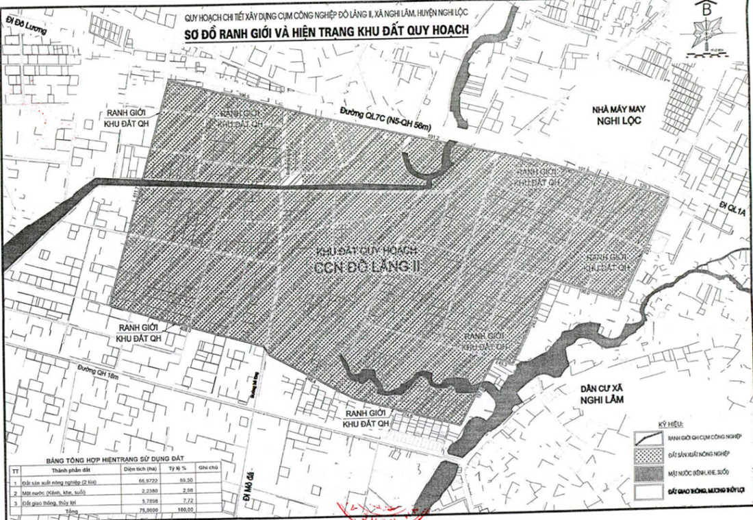
Ranh giới và kết nối liên vùng của CCN Đô Lăng 2 Nghệ An
Khu vực nghiên cứu dự án thuộc địa bàn xã Phúc Lộc (trước đây là xã Nghi Lâm, huyện Nghi Lộc), tỉnh Nghệ An, cụ thể:
- Phía Bắc tiếp giáp đường QL.7C
- Phía Nam tiếp giáp đất sản xuất nông nghiệp
- Phía Đông tiếp giáp đất sản xuất nông nghiệp
- Phía Tây tiếp giáp đất sản xuất nông nghiệp
Kết nối vùng:
- Cách trung tâm TP.Vinh khoảng 4km
- Cách ga Vinh khoảng 3km
- Cách sân bay Vinh khoảng 1,5km
- Cách cảng biển Cửa Lò khoảng 13km
Quy mô dự án CCN Đô Lăng 2 Nghệ An

Sơ đồ ranh giới CCN Đô Lăng 2
| Tổng diện tích | 75ha |
| Ngành nghề | - Chế tạo, lắp ráp thiết bị điện, linh kiện điện tử - Cơ khí chính xác, sản phẩm phụ trợ, may mặc - Sản xuất đồ gia dụng, vật liệu xây dựng - Sản xuất đồ gỗ và trang trí nội thất, phân lân |
Quy mô CCN Đô Lăng 2
Hệ thống cơ sở hạ tầng CCN Đô Lăng 2 Nghệ An
Hệ thống cấp điện
Đưa điện từ lưới quốc gia, đấu nối đến từng phân khu; thiết kế đảm bảo công suất ổn định và linh hoạt theo nhu cầu doanh nghiệp.
Hệ thống cấp & thoát nước
Hệ thống cấp nước công nghiệp và sinh hoạt được đầu tư bài bản, đảm bảo chất lượng nước cho sản xuất.
Hệ thống thoát, thu gom xử lý nước mưa và nước thải riêng biệt, hướng đến tiêu chuẩn xả thải công nghiệp sạch.
Hệ thống xử lý nước thải
Trung tâm xử lý nước thải tập trung, công suất đủ lớn để đáp ứng toàn cụm, đạt tiêu chuẩn môi trường Việt Nam.
Hệ thống viễn thông
Hệ thống viễn thông, internet tốc độ cao được chuẩn bị sẵn sàng, phù hợp với sản xuất công nghệ cao.
Pháp lý CCN Đô Lăng 2 Nghệ An
Ngày 18/6/2025, UBND tỉnh Nghệ An ban hành Quyết định số 1743/QĐ-UBND về việc thành lập Cụm công nghiệp Đô Lăng 2.
Tiến độ CCN Đô Lăng 2 Nghệ An
- Chuẩn bị đầu tư: Từ quý 2/2025 đến hết quý 1/2026.
- Đầu tư xây dựng hạ tầng kỹ thuật, hoàn thành đưa CCN vào khai thác sử dụng: Từ quý 3/2026 đến hết quý 3/2029
Giá thuê dự kiến CCN Đô Lăng 2 Nghệ An
- Giá thuê cơ sở hạ tầng: 55 USD/m2 (chưa bao gồm VAT)
- Giá nước sạch: Theo quy định của nhà cung cấp
- Cước viễn thông: Theo giá nhà cung cấp viễn thông tại thời điểm lắp đặt
- Giá điện: Theo quy định của nhà cung cấp
- Phí quản lý, bảo dưỡng hạ tầng: 0.5 USD/m2 (chưa bao gồm VAT)
- Phí xử lý nước thải: Theo quy định của nhà cung cấp
Lưu ý: Các mức phí trên chỉ mang tính tham khảo và có thể thay đổi theo chính sách của chủ đầu tư và thời điểm cụ thể.
Thông tin chủ đầu tư dự án CCN Đô Lăng 2 Nghệ An
Chủ đầu tư dự án CCN Đô Lăng 2 là Công ty Cổ phần Phát triển Cụm công nghiệp MKH Nghệ An hoạt động từ năm 2024, địa chỉ trụ sở là số 2A, đường Lê Mao, phường Thành Vinh, tỉnh Nghệ An. Người đại diện pháp luật là bà Dư Thị Giang. Doanh nghiệp hoạt động chính trong lĩnh vực kinh doanh bất động sản, quyền sử dụng đất thuộc chủ sở hữu, chủ sử dụng hoặc đi thuê.
Thông tin nhanh dự án CCN Đô Lăng 2 Nghệ An
| Dự án: CCN Đô Lăng 2 | Ngày khởi công: |
| Vị trí: Xã Phúc Lộc, tỉnh Nghệ An | Thời hạn vận hành: 2025 - 2075 |
| Tổng diện tích: 75ha | Tổng vốn đầu tư: 928,54 tỷ đồng |
| Chủ đầu tư: Công ty Cổ phần Phát triển Cụm công nghiệp MKH Nghệ An | Tỷ lệ lấp đầy: |
Cẩm Tú